Geodezja satelitarna i astronomia geodezyjna

note /search

Ręczne odbiorniki GPS

  • Geodezja satelitarna i astronomia geodezyjna
Pobrań: 371
Wyświetleń: 1491

Uniwersytet Rolniczy w Krakowie Wydz. Inżynierii Środowiska i Geodezji Kierunek: Geodezja i Kartografia Rok akademicki 2010/2011 Semestr V-zimowy ĆWICZENIE NR 4 Temat: RĘCZNE ODBIORNIKI GPS; GPSMAP60CSxdefiniowanie układu współrzędnych użytkownika, pomiar pola powierzchni. Rok III Grupa 1...

Ruch satelity po orbicie kołowej - ćwiczenia

  • Geodezja satelitarna i astronomia geodezyjna
Pobrań: 791
Wyświetleń: 3059

n = 16 Ruch satelity po orbicie kołowej 1. Obliczanie promienia wodzącego satelity. r  RH Gdzie: R – promień Ziemi = 6371 km H – wysokość lotu satelity 2. Obliczanie prędkości satelity. V   r Gdzie: μ – grawitacyjny parametr Ziemi r –

Geodezja satelitarna i astronomia geodezyjna - ćwiczenia

  • Geodezja satelitarna i astronomia geodezyjna
Pobrań: 308
Wyświetleń: 1449

1. Przeliczenie: [B, L, H] [X, Y, Z]. X = rp cos(L) Y = rp sin(L) Z = (RN (1- e2)+ H) sin (B) rp=(RN + H) cos (B) RN jest długością odcinka normalnej, mierzoną od punktu Po do punktu S przecięcia z osią obrotu elipsoidy jest...

Pomiar statystyczny GPS - operat

  • Geodezja satelitarna i astronomia geodezyjna
Pobrań: 763
Wyświetleń: 2982

Uniwersytet Rolniczy w Krakowie Wydz. Inżynierii Środowiska i Geodezji Kierunek: Geodezja i Kartografia Rok akademicki 2010/2011 Semestr: zimowy ĆWICZENIE NR 9-10 Temat: Pomiar statystyczny GPS. Opracowanie obserwacji z wykorzystaniem automatycznego postprocessingu POZGEO Rok III ] 1. S...

Orbital Mechanics PPT Slides

  • Uniwersytet Przyrodniczy we Wrocławiu
  • Geodezja satelitarna i astronomia geodezyjna
Pobrań: 35
Wyświetleń: 1036

ORBITAL MECHANICS !! INTRO TO SPACE COURSE ORBITAL MECHANICS Lesson 1  Origins  Physical Laws  Requirements for Injection  Classifications of Orbits  Coordinate Reference Systems  Orbital Elements  Ground Tracks  Perturbations  Launch C...

Transformacja współrzędnych geocentrycznych odbiornika do współrzędnyc...

  • Uniwersytet Przyrodniczy we Wrocławiu
  • Geodezja satelitarna i astronomia geodezyjna
Pobrań: 210
Wyświetleń: 2366

Transformacja współrzędnych geocentrycznych odbiornika do współrzędnych topocentrycznych 1 Transformacja współrzędncy do układu topocentrycznego Układ topocentryczny bywa przydatny do określania azymutu i elewacji satelitów (modelowanie troposfer...

Wyznaczanie współrzędnych geocentrycznych odbiornika z rozwiązania naw...

  • Uniwersytet Przyrodniczy we Wrocławiu
  • Geodezja satelitarna i astronomia geodezyjna
Pobrań: 266
Wyświetleń: 1757

Wyznaczanie współrzędnych geocentrycznych odbiornika z rozwiązania nawigacyjnego GPS 1 Wstęp Celem ćwiczenia, jest zaznajomienie z procedurą wyznaczania pozycji odbiornika GPS z obserwacji kodowych. Niezbędnym do tego celu jest również poznanie struktury pliku obserwacyjnego w formacie wymiany da...

Low-high” oraz „low-low” configuration w technice SST- opracowanie...

  • Uniwersytet Rolniczy im. Hugona Kołłątaja w Krakowie
  • Geodezja satelitarna i astronomia geodezyjna
Pobrań: 42
Wyświetleń: 805

„low-high” oraz „low-low” configuration w technice SST Low-high configuration– satelita na niskiej orbicie (100-300 km) jest śledzony przez satelitę znajdującego na orbicie MEO lub GEO. Przykładem mogą być satelity CHAMP i GOCE (z odbiornikami GPS na pokładzie) śledzone przez satelity GPS, w cel...

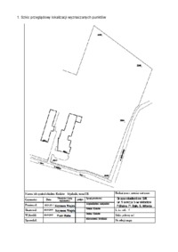
Opracowanie pomiaru powierzchni wykonanego odbiornikiem - ćwiczenia

  • Geodezja satelitarna i astronomia geodezyjna
Pobrań: 224
Wyświetleń: 623

Uniwersytet Rolniczy w Krakowie Wydział: Inżynierii Środowiska i Geodezji Kierunek: Geodezja i Kartografia Rok akad. 2010/2011 Semestr: V zimowy Ćwiczenie 5 Temat: Opracowanie pomiaru powierzchni wykonanego odbiornikiem GPSMap60CSx za pomocą programu Mapsource. Rok: III Grupa: 1 SPRAWO...

Podstawowe układy odniesienia-opracowanie

  • Uniwersytet Szczeciński
  • Geodezja satelitarna i astronomia geodezyjna
Pobrań: 168
Wyświetleń: 1477

Podstawowe układy odniesienia Reference System (układ odniesienia) - opisuje teoretycznie budowę systemu odniesienia, położenie i orientację podstawowych płaszczyzn i osi. Zawiera matematyczny i fizyczny model . Reference Frame - praktyczna realizacja układu odniesienia w postaci stacji odniesienia...